Projektbeschreibung
Errichtet wurden 3 Bauabschnitte mit insgesamt 29 Wohnungen. Der erste und zweite Bauabschnitt befindet sich direkt an der Mühlgasse. Das Wohnhaus (Ziegelbau) besteht aus Erdgeschoss, 1. Stock und Dachgeschoß. Die zur Mühlgasse gewendeten Wohnungen verfügen über einen südseitigen Balkon, jeder Wohnung ist ein Kellerabteil sowie ein Kfz-Stellplatz im Freien zugeordnet.
Mühlgasse 8 (1)
Mühlgasse 8 (3)
Mühlgasse 8 (2)
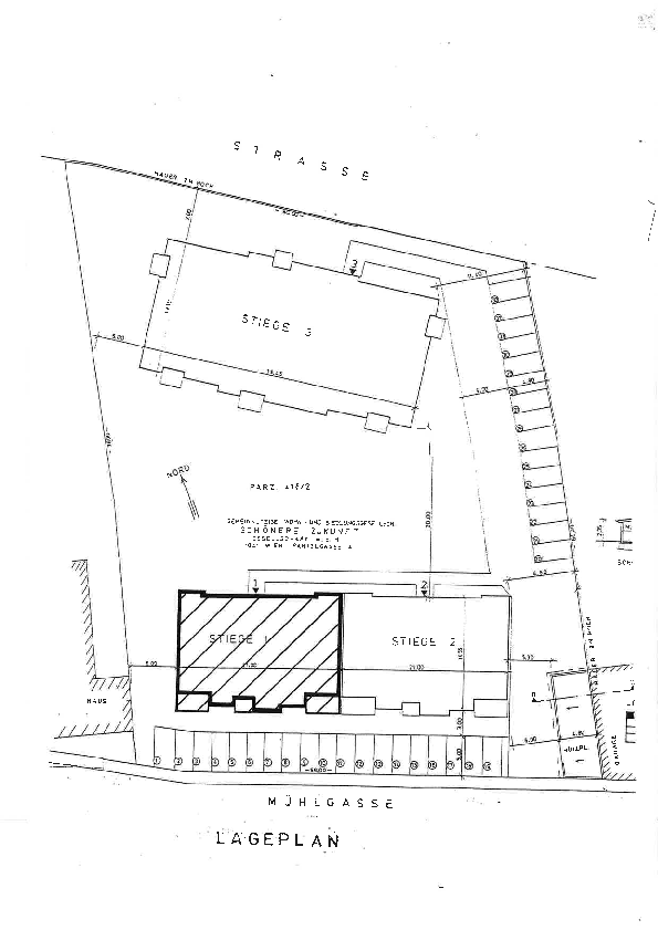
Lageplan Stiege 1
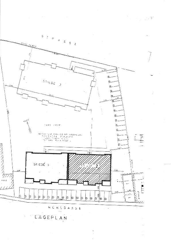
Lageplan Stiege 2
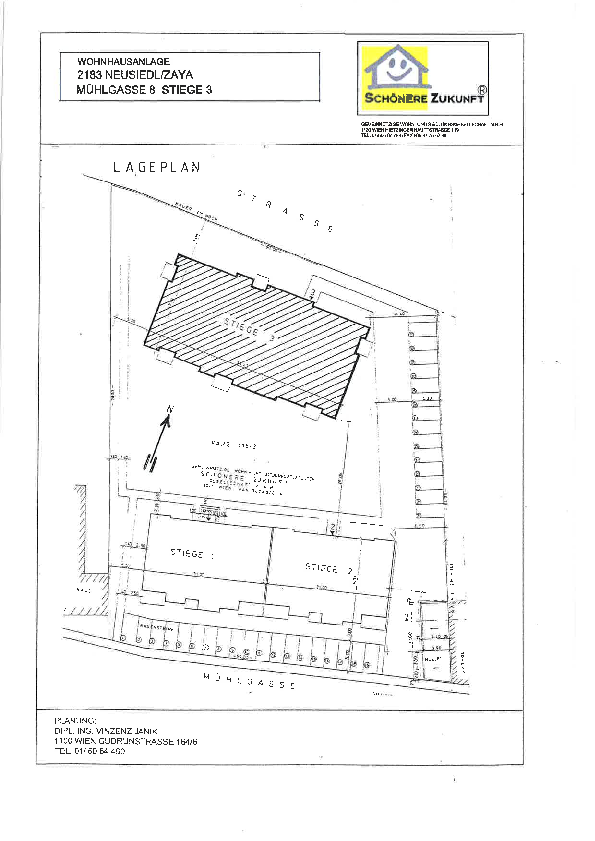
Lageplan Stiege 3
Mühlgasse 8, 2183 Neusiedl an der Zaya
Lagebeschreibung
Die wunderschöne Gemeinde Neusiedl an der Zaya liegt im nordöstlichen Weinviertel, im Bezirk Gänserndorf. Die hügelige Landschaft lädt zu ausgiebigen Spaziergängen und Wanderungen ein. Die einzigartige Kunstroute Weinviertel Diagonal verläuft durch die charmante Ortschaft und präsnetiert Kunstwerke und geschichtsträchtige Gebäude. Neben einem breit gefecherten Sportangebot, bietet die gut ausgebaute Infrastruktur viele Möglichkeiten für eine gesunde Abwechslung und ein vielfältiges Freizeitangebot.






